West Hartford Town Council Unanimously Approves Madsen Acres, Affordable Condo Development
Audio By Carbonatix

Rendering of Madsen Acres by QA+M Architecture. Courtesy of Honeycomb Real Estate Partners
The West Hartford Town Council voted unanimously Tuesday night to approve an application by Honeycomb Real Estate Partners for a 54-unit affordable condominium development on Newington Road.
By Ronni Newton
A proposal by Honeycomb Real Estate Partners for rezoning and creation of a Special Development District (SDD) in order to transform what is currently 2.49 acres of vacant land in West Hartford into an affordable condominium development called Madsen Acres was unanimously approved, 9-0, by the Town Council on Tuesday night.
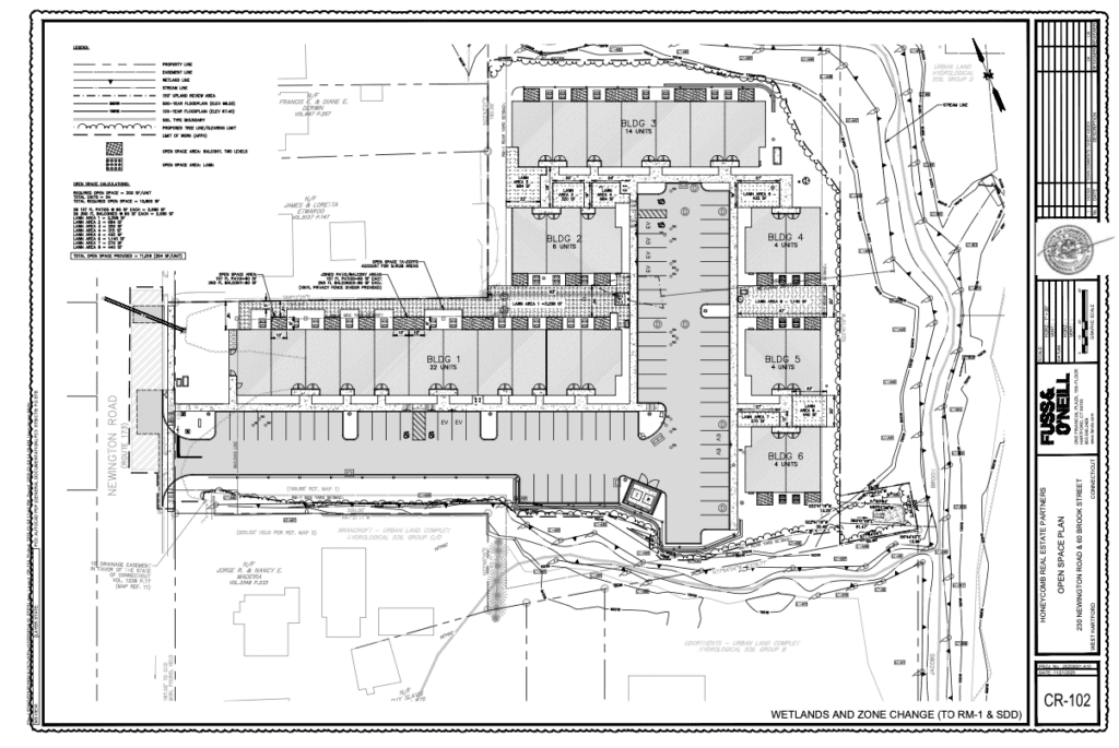
The development will be located at 230 Newington Road, and will include six townhouse-style residential buildings of two stories each, with a total of 54 residential units – 38 one-bedroom and 16 two-bedroom homes. As part of the plan, the developer also secured a drainage easement at 60 Brook Street. There will be a total of 71 parking spaces provided.
The application was submitted under Connecticut’s 8-30g statute and will qualify as “assisted housing.” Unlike other proposals that have been considered by West Hartford under that statute, however, these units will be condominiums owned by their residents.

Rendering of Madsen Acres by QA+M Architecture. Courtesy of Honeycomb Real Estate Partners
“All of the units will be affordable at varying levels of affordability,” said Robin Pearson, the attorney representing Honeycomb, as she outlined the plans at a public hearing on the application the Town Council held prior to its regular meeting and vote. She noted that financing for the development through the Department of Housing’s “For Sale Affordable Home Ownership Program” to provide gap funding to Honeycomb will be necessary to make it viable.
The plans specify that eight of the one-bedroom units and four of the two-bedroom units will be designated for homeowners with incomes at 60% of the Area Median Income (AMI), and the remainder will be for those at 80% AMI.

Attorney Robin Pearson of Alter, Pearson & Hope presents Madsen Acres to the West Hartford Town Council on Jan. 27, 2026. Photo credit: Ronni Newton
Pearson described the development as “nestled into the site” – which has an existing curb cut but is otherwise woods located next to the Stop & Shop Plaza on Newington Road. With the edge of the building that faces the street designed to look like a single-family home compatible with others in the area, Pearson said it is “appropriately scaled as to its mass and height as it presents to Newington Road.”
Adjacent parcels on Newington Road and Brook Street are a variety of zones, and the parcel where Madsen Acres will be developed is split into three different zones – R-6, IE, and IG – but will all be rezoned as RM-1 to accommodate the multifamily development, and a Special Development overlay will apply, ensuring that any significant changes cannot be made without Town Council approval.

Town of West Hartford website
Lewis Brown, managing partner of Honeycomb, is a West Hartford native, who attended West Hartford Public Schools (Morley, King Philip, and Hall). He and his family returned to town from Boston in 2005, and his kids also attended West Hartford Public Schools. The “castle” and the area for babies at the West Hartford Public Library were dedicated in honor of his late father. “In many ways the West Hartford community has shaped both my family and my values,” and a belief in access, he told the Council.
“Honeycomb’s work in West Hartford has been grounded in collaboration and innovation,” Brown said. The 44-unit 100% affordable multifamily apartment building at Farmington Avenue and Trout Brook Drive that he and Honeycomb Vice President Steve Caprio and their development partners just completed in town last year – The Camelot – has “demonstrated what’s possible and has really become a showcase for the state.” One-third of the units at The Camelot are set aside for residents earning 30% AMI or below, who would not have been able to afford to live there without the collaboration of the many partners that made the project possible.

Lewis Brown, principal of Honeycomb Real Estate Partners, speaks about Madsen Acres to the West Hartford Town Council on Jan. 27, 2026. Photo credit: Ronni Newton
The name of the new development, Madsen Acres, is a nod to the Madsen Dairy Farm that was located along Newington Road in the early 20th century. Architect Tom Arcari, principal with Farmington-based Quisenberry Arcari Malik Architecture, described the design as a “modern farmhouse aesthetic” with simple gable forms. Internally, the units will feature open floor plans and amenities including washers and dryers, and all will have outdoor spaces and separate entrances. “We want to design these homes so that they are in keeping with the current luxury-type marketplace,” Arcari said.
According to the landscape architect from Fuss and O’Neill, the parcel will feature native trees and shrubs. The traffic engineer said the impact on Newington Road traffic will be minimal.

Street view from Newington Road. Rendering of Madsen Acres by QA+M Architecture. Courtesy of Honeycomb Real Estate Partners
Madsen Acres will combine “public investment with private developer capital,” Brown said, allowing homeowners to build equity while ensuring that the homes remain “perpetually affordable.”
Like any condominium complex, there will be a homeowners’ association, and in this case the development team will fund it with several hundred thousand dollars, Brown said.
Homeowners will need to qualify and Honeycomb will be working with the Community Development Financial Institutions Fund. There are other state programs to assist prospective owners with financing, including down payment assistance.
“Madsen Acres is about more than housing, it’s about stewardship of public resources, neighborhood stability, and opportunity,” Brown said. “Madsen Acres will help to leave fewer people behind,” he said, adding that “West Hartford will once again be at the forefront for creating innovative housing solutions.”
The application received unanimous support from the Design Review Advisory Commission and the Town Plan & Zoning Commission. The wetlands application also received unanimous approval.

Schematic for Madsen Acres. Town of West Hartford website
The application for the SDD requested several minor waivers from the RM-1 (residential, multiple-family, low density) zone, including a setback of 34 feet rather than 40 feet from the roadway. The development team noted that the 34 feet matches the setback of the adjacent single-family home. Other waivers requested including parking spaces of 18 feet rather than 20 feet, and a horizontal building length of 251 rather than 250 feet.
While the application was submitted as a SDD, because it was submitted under the terms of the 8-30g statute, Corporation Counsel Dallas Dodge reminded Council members that the only basis for denial would be if “any legitimate health and safety conditions” outweighed the need for affordable housing.
“It’s just a joy to be able to vote on this,” Democratic Town Council member Ben Wenograd said prior to the unanimous vote. “It’s exactly what we need in town and we’ve got the exact right developer,” he added, thanking Brown for his dedication to the community and trust in town staff who recommended some changes that were incorporated into the initial proposal.
“I know your commitment to this town and how much you love it,” said Democrat Tiffani McGinnis. After seeing the success of the Camelot, she said she knows this will also be a high quality development providing a life-changing opportunity for the residents. ”Homeownership, that’s a big deal … you really feel that you are setting up roots.”
Minority Leader John Lyons praised Brown, noting that it is “moving to have someone who has grown up in our community and has so much commitment to our community.”
The other two Republican Council members voted for the proposal, while voicing some objections that would not have been legitimate reasons for denial. Jason Wang said he thought there were too many parking spaces and would like to see playground space instead, and also said this was not his “preferred way of getting subsidized homeownership.”
Gayle Harris said while she is happy to add to affordable housing in town, she said she is “completely opposed to the 8-30g statute” and doesn’t think the zoning should be changed. “However, I do understand that’s not something we control at this table,” she said.
“I think that given the area, given the needs of the community, that this will be a great project,” Democrat Barry Walters said.

230 Newington Road viewed from parking lot leading to Stop & Shop Plaza at 176 Newington Road. Photo credit: Ronni Newton (we-ha.com file photo)
“The thoughtfulness that was put into the design is so apparent,” said Deputy Mayor Deb Polun. She added that she appreciated that Honeycomb incorporated DRAC’s suggestions, including adding slightly more parking than required so that there are spaces for visitors or health care aides. The development is within a mile of Beachland Park and the Trout Brook Trail, and walking distance to CTfastrak, she noted, and well located on what was has been “completely under-utilized space.”
“Lewis, you’ve done it again,” Mayor Shari Cantor said. “We’re so lucky that you’re ours, that your connections are here, and that you want to make this a better place.”
Cantor said she thinks the success of The Camelot, and the relationships that Brown built, paved the way for the expansion of DOH’s “For Sale Affordable Home Ownership Program.” Madsen Acres will be by far the largest program in the state.
“You’re developing a community, developing a neighborhood, giving people the opportunity to be homeowners when they couldn’t otherwise afford to do that,” Cantor said. “This is a phenomenal product,” she added.

Curb cut to 230 Newington Road. Photo credit: Ronni Newton (we-ha.com file photo)
Income and sale price limits
Based on current affordability requirements and limits – 2025 HUD Income Limits and Department of Housing Program Guidelines – the purchase price of a one-bedroom condominium unit would be roughly $150,000 for those with a family income of 60% AMI and roughly $180,000 at the 80% AMI level. While the requirements are subject to change, at current levels two-bedroom units would be sold for roughly $220,000 and $250,000 at the 60% AMI and 80% AMI level respectively. According to Honeycomb, eight of the one-bedroom and four of the two-bedroom units will be for those at the 60% AMI level.
The rules in the DOH “For Sale Affordable Homeownership Program,” according to Honeycomb, indicate current income levels to qualify for purchase as:
- 1 Person, 60% AMI – $53,220
- 1 Person, 80% AMI – $70,960
- 2 Person, 60% AMI – $60,780
- 2 Person, 80% AMI – $81,040
Like what you see here? Click here to subscribe to We-Ha’s newsletter so you’ll always be in the know about what’s happening in West Hartford! Click the blue button below to become a supporter of We-Ha.com and our efforts to continue producing quality journalism.


The dim bulbs on the town council won’t be satisfied until Weha has 100k residents no matter that roads and other infrastructure can’t handle that many people. Grow, baby, grow.
A quick Google search reveals that West Hartford’s population has been pretty much level since 1960. But our population is going to increase by 2/3 because the Council approved a 54 unit development?!
Don’t fear the future. Embrace it!