Big Y Announces Plans to Open Store at Westfarms [Updated]
Audio By Carbonatix

Big Y is undergoing a facade update in Bishops Corner (pictured), and has announced plans to open a new location on the Westfarms property. Photo credit: Ronni Newton
Big Y announced Wednesday that it will be building a new store in what is now a portion of the parking lot of Westfarms, the shopping center that straddles the West Hartford and Farmington town lines. [Updated with site plan, Oct. 30, 2025]

Rendering of Big Y at Westfarms. Courtesy of Big Y
By Ronni Newton
Big Y has announced plans to expand in the West Hartford area – sharing in a news release on Wednesday that they will be constructing a brand new store on the southern side of the Westfarms property.
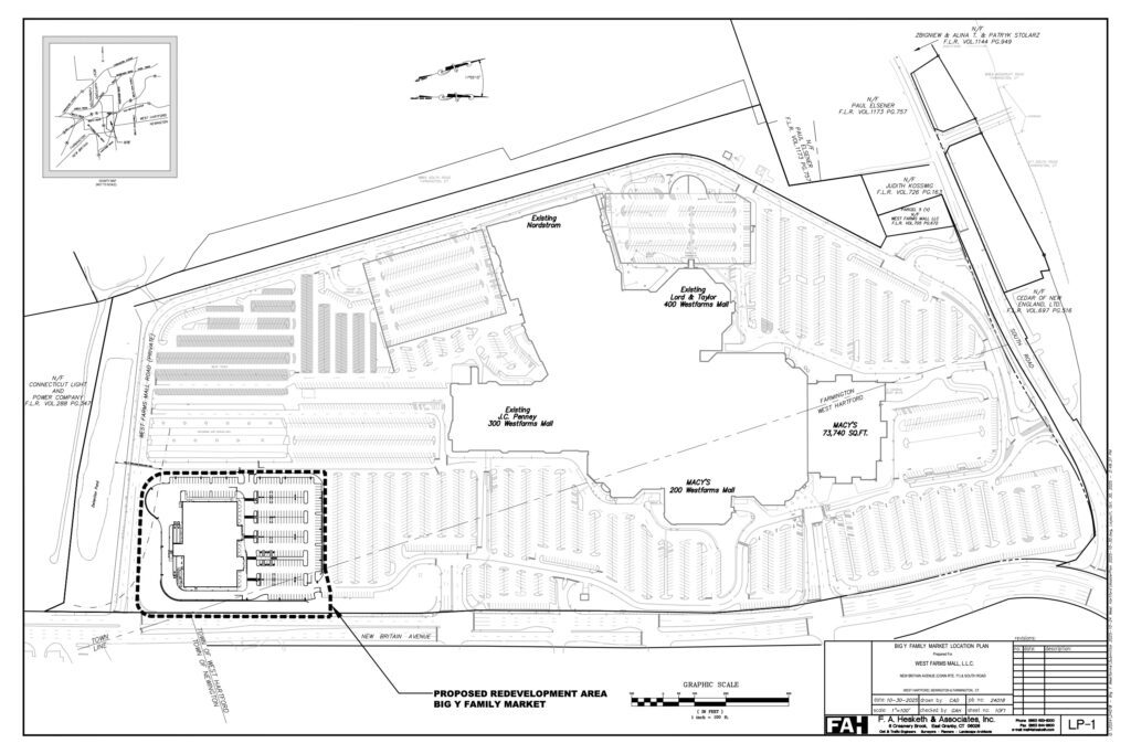
Westfarms straddles the West Hartford and Farmington town lines. The new Big Y store will technically be located in Farmington, on the southern side of the property, the company said.
On Thursday, a spokesperson for Big Y provided a site plan for the new store, which indicates the location will have frontage along New Britain Avenue, and will be in the corner of the parking area near the southernmost entrance and exit. The site plan indicates that a portion of the parking lot will be in West Hartford.

Site plan for Big Y at Westfarms. Courtesy of Big Y
At Westfarms, we take pride in serving Connecticut as a premier retail shopping destination with exceptional brands and experiences,” said Elizabeth Ryan, General Manager. “We’re thrilled to add Big Y to our Westfarms community and eagerly anticipate its grand opening,” she added.
“We’re thrilled to become part of the vibrant Westfarms community after a long search for the right opportunity,” Mathieu L. D’Amour, Vice President of Real Estate and Development, said in a statement. “This new location will deepen our connection with customers in Central Connecticut and allow us to continue delivering our signature customer service through our exceptional and knowledgeable employees.”
Big Y has a West Hartford location in Bishops Corner, which is currently undergoing a façade upgrade. The Westfarms store will provide a convenient shopping alternative for residents who live on the southern end of town, and it’s also easily accessible to I-84 and Route 9, as well as not only those who visit Westfarms and Corbin’s Corner but the many other businesses located in the area. The announcement notes that the expansion “marks a significant milestone in Big Y’s continued commitment to serving communities across the region with fresh, local, and high-quality offerings.”
The Westfarms store will be roughly 53,000 square feet, and according to the announcement is slated to open in the spring of 2027.
Big Y is independently-owned, and has supermarket locations throughout Connecticut and Massachusetts. The company also owns Table & Vine Fine Wines and Liquors.
“Founded in 1936 by brothers Paul and Gerald D’Amour, the store was named after an intersection in Chicopee, Massachusetts where two roads converge to form a ‘Y,'” the company stated.

Entrance to Westfarms. Photo credit: Ronni Newton
Like what you see here? Click here to subscribe to We-Ha’s newsletter so you’ll always be in the know about what’s happening in West Hartford! Click the blue button below to become a supporter of We-Ha.com and our efforts to continue producing quality journalism.

